Description
uvita, Puntarenas, Costa Rica Real Estate Sale | Venta
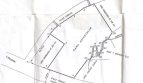
Have you ever dreamed of building a thriving business in the heart of a bustling tropical paradise? How about catering to the thousands of visitors enjoying the pristine beaches, parks, waterfalls, and sunsets the Bahía Ballena has to offer? Don’t miss out as this investment opportunity with unprecedented potential in downtown Uvita won’t last long. This commercially zoned property of over 24000 m2 is on the hwy 34/Costanera Sur and has an excellent location in the center of Uvita. Uvita is a fast growing commercial hub servicing the local population and surrounding areas such as Ojochal and Dominical. The property is conveniently located only a 5-minute drive from the international Envision festival which attracts thousands of visitors each year. With plenty of space for parking and building this property is perfect for any large commercial project such as a mall, office space, box store and much more! It’s located where all activities and amenities are concentrated in Uvita and within 2 minutes of the gas station, supermercado BM, Aroma a Café, SIBU and Banco Nacional. The lot is flat, usable, and has two public road accesses. If you are looking for capital gain, this may be the property for you.
MLS number: 400142400013
en español:
Propiedad comercial en el centro de Uvita.
¿Alguna vez has soñado con construir un negocio próspero en el corazón de un bullicioso paraíso tropical? ¿Qué tal atender a los miles de visitantes que disfrutan de las playas vírgenes, los parques, las cascadas y los atardeceres que la Bahía Ballena tiene para ofrecer? No te pierdas esta oportunidad de inversión con un potencial sin precedentes en el centro de Uvita, pues no durará mucho. Esta propiedad con zona comercial de más de 24000 m2 se encuentra sobre la carretera 34/Costanera Sur y tiene una excelente ubicación en el centro de Uvita. Uvita es un centro comercial de rápido crecimiento que atiende a la población local y las áreas circundantes, como Ojochal y Dominical. La propiedad está convenientemente ubicada a solo 5 minutos en automóvil del festival internacional Envision, que atrae a miles de visitantes cada año. Con mucho espacio para estacionamiento y construcción, esta propiedad es perfecta para cualquier proyecto comercial grande, como un centro comercial, espacio para oficinas, tienda de cajas y mucho más. Está ubicado donde se concentran todas las actividades y comodidades en Uvita y a 2 minutos de la gasolinera, supermercado BM, Aroma a Café, SIBU y Banco Nacional. El lote es llano, utilizable y tiene dos accesos por vía pública. Si buscas plusvalía, esta puede ser tu propiedad






























